茅ヶ崎市松が丘1丁目 建築条件なし売地 神奈川県茅ヶ崎市松が丘1丁目|3,680万円の土地|センチュリー21富士ハウジング
| 価格 | 3,680万円 ![]() |
||||
|---|---|---|---|---|---|
| 所在地 | 神奈川県茅ヶ崎市松が丘1丁目
この地域周辺の物件を見る |
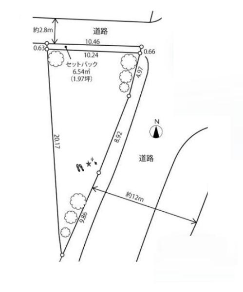
土地面積 | 123.64m² (37.4坪) | 坪単価 | 98.39万円 /坪 |
| 交通 |
JR東海道本線 茅ケ崎 徒歩25分
JR相模線 茅ケ崎 徒歩25分 |
建ぺい率 | 60 % | 容積率 | 150 % |
| 特徴 |
|
|---|---|
| セールスコメント | センチュリー21富士ハウジング茅ヶ崎店は茅ヶ崎駅南口徒歩1分です |
| 建築条件 | なし | 土地権利 | 所有権 |
|---|---|---|---|
| 現況/引渡し | 更地/相談 | 接道状況 | 接道: 東 24.4m 公道 道路幅: 12m 接道: 北 10.46m 公道 道路幅: 2.8m |
| 私道負担面積 | - | セットバック | - |
| 地勢 | 平坦 | 地目 | 山林 |
| 用途地域 | 第二種中高層住居専用地域 | 都市計画 | 市街化区域 |
| 法令上の制限 | 高度地区;準防火地域;敷地面積最低限度有 | 国土法届出 | 不要 |
| 取引態様 | 仲介 | ||
| 情報更新日 | 2025年11月04日 | 次回更新日 | 2025年11月18日 |
| 小学校区 | 茅ヶ崎市立浜須賀小学校 (神奈川県茅ヶ崎市) 神奈川県茅ヶ崎市立浜須賀小学校学区の他の物件を見る |
中学校区 | 浜須賀中学校 (神奈川県茅ヶ崎市) 神奈川県茅ヶ崎市立浜須賀中学校学区の他の物件を見る |
|---|
| 価格 | 万円 | ||
|---|---|---|---|
| 年利率 | % |
||
| ボーナス払い | 返済年数 | ||
| 頭金 | 直接入力する | 万円 | |

毎月のご返済額 |
ボーナス(×年2回) |
物件価格3,680万円 |
![]() |
![]() |
茅ヶ崎市松が丘1丁目
3680万円 |
子育て家族に嬉しい、小・中学校徒歩6分圏内
周辺にスーパーやコンビニが揃う便利な住環境
「建築条件なし」お好きなハウスメーカーで建築できます。