神奈川県 藤沢市善行坂 |藤沢の不動産のことならセンチュリー21富士ハウジング

  • 藤沢店

    0120-158-380

  • 湘南モールフィル店

    0120-989-655

  • 辻堂北口店

    0120-060-021

  • 茅ヶ崎店

    0467-73-9085

TOPページ
物件検索
神奈川県 藤沢市善行坂 の不動産情報一覧

神奈川県 藤沢市善行坂 の検索結果一覧

種別で絞り込む 新築一戸建て(新築一軒家) 中古一戸建て・中古住宅 中古マンション 土地・売地 投資用・収益物件
34件中1〜20件を表示
表示件数 並び順
中古マンション 神奈川県藤沢市善行坂1丁目の中古マンションの完成予想図(外観)

善行駅徒歩11分 周辺商業施設充実 屋内駐車場 南向きで陽当り・風通し・開放感良好 お好みのリフォームでご検討下さい リフォーム見積もりプランの作成もいたします

価格 2,080万円 
所在地 神奈川県藤沢市善行坂1丁目
交通 小田急江ノ島線 善行駅 徒歩11分
間取り 3DK
専有面積 55.44u 所在階 7階/14階建
築年月 1995年3月 建物構造 マンション/SRC造
28枚  
土地 神奈川県藤沢市善行坂2丁目の土地の画像

小田急江ノ島線「善行」駅徒歩13分 全5区画の開発分譲地です。南道路で陽当り良好。小学校・スーパー・ドラッグストアも近隣に揃っています。

価格 2,380万円 
所在地 神奈川県藤沢市善行坂2丁目
交通 小田急江ノ島線 善行駅 徒歩13分
坪数 43.51坪 土地面積 143.83u
坪単価 54.7万円 建築条件 なし
建ぺい率 50.0% 容積率 80.0%
30枚  
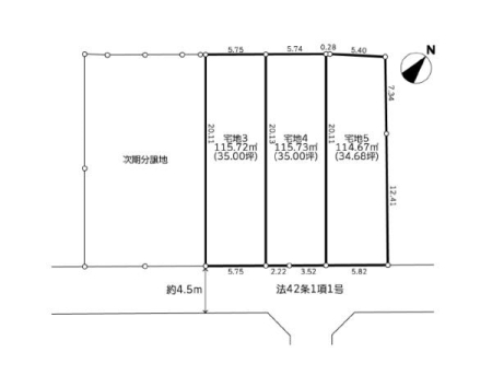
土地 神奈川県藤沢市善行坂2丁目の土地の間取り図

善行駅徒歩13分、全5区画の開発分譲地です。南道路で日当り良好。建物プラン、建築条件外しご相談ください。

価格 2,380万円 値下がり
所在地 神奈川県藤沢市善行坂2丁目
交通 小田急江ノ島線 善行駅 徒歩13分
坪数 43.51坪 土地面積 143.83u
坪単価 54.7万円 建築条件 建築条件付
建ぺい率 50.0% 容積率 80.0%
13枚  
土地 神奈川県藤沢市善行坂2丁目の土地の画像

小田急江ノ島線「善行」駅徒歩13分 全5区画の開発分譲地です。南道路で陽当り良好。小学校・スーパー・ドラッグストアも近隣に揃っています。

価格 2,480万円 
所在地 神奈川県藤沢市善行坂2丁目
交通 小田急江ノ島線 善行駅 徒歩13分
坪数 45.26坪 土地面積 149.61u
坪単価 54.8万円 建築条件 なし
建ぺい率 50.0% 容積率 80.0%
31枚  
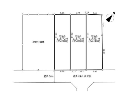
土地 神奈川県藤沢市善行坂2丁目の土地の間取り図

善行駅徒歩13分、全5区画の開発分譲地です。南道路で日当り良好。建物プラン、建築条件外しご相談ください。

価格 2,480万円 値下がり
所在地 神奈川県藤沢市善行坂2丁目
交通 小田急江ノ島線 善行駅 徒歩13分
坪数 45.26坪 土地面積 149.61u
坪単価 54.8万円 建築条件 建築条件付
建ぺい率 50.0% 容積率 80.0%
13枚  
中古マンション 神奈川県藤沢市善行坂2丁目の中古マンションの完成予想図(外観)

小田急江ノ島線「善行」駅徒歩13分、オートロック付のマンションでセキュリティ面も安心、陽当り通風良好です。2026.3リフォーム完了しています。

価格 2,480万円 
所在地 神奈川県藤沢市善行坂2丁目
交通 小田急江ノ島線 善行駅 徒歩11分
間取り 2LDK
専有面積 55u 所在階 7階/12階建
築年月 1995年3月 建物構造 マンション/SRC造
23枚  
中古マンション 神奈川県藤沢市善行坂2丁目の中古マンションの完成予想図(外観)

【CENTURY21富士ハウジング湘南モールフィル店取扱物件】駅徒歩13分、水回り一新の綺麗な室内で新生活を!オートロック付で安心、日当り、通風良好です。

価格 2,480万円 
所在地 神奈川県藤沢市善行坂2丁目
交通 小田急江ノ島線 善行駅 徒歩11分
間取り 2LDK
専有面積 55u 所在階 7階/12階建
築年月 1995年3月 建物構造 マンション/SRC造
31枚  
中古マンション 神奈川県藤沢市善行坂1丁目の中古マンションの完成予想図(外観)

小田急江ノ島線「善行」駅徒歩10分 広々とした間取り そのままご入居可能なリフォーム済物件 ペットと一緒に暮らせます

価格 3,080万円 
所在地 神奈川県藤沢市善行坂1丁目
交通 小田急江ノ島線 善行駅 徒歩10分
間取り 3LDK
専有面積 77.81u 所在階 3階/15階建
築年月 1999年3月 建物構造 マンション/SRC造
28枚  
 
中古マンション 神奈川県藤沢市善行坂2丁目の中古マンションの完成予想図(外観)

小田急江ノ島線「善行」駅徒歩13分 オートロック付のマンションでセキュリティ面も安心 角部屋につき陽当り通風良好です。

価格 3,080万円 
所在地 神奈川県藤沢市善行坂2丁目
交通 小田急江ノ島線 善行駅 徒歩13分
間取り 3LDK
専有面積 59.08u 所在階 11階/12階建
築年月 1995年3月 建物構造 マンション/SRC造
23枚  
中古マンション 神奈川県藤沢市善行坂2丁目の中古マンションの完成予想図(外観)

小田急江ノ島線「善行」駅徒歩14分 11階で眺望良好、遠くに海が見えます。令和7年2月リフォーム完了予定です。

価格 3,380万円 
所在地 神奈川県藤沢市善行坂2丁目
交通 小田急江ノ島線 善行駅 徒歩14分
間取り 3LDK
専有面積 60.1u 所在階 11階/12階建
築年月 1996年3月 建物構造 マンション/SRC造
19枚  
中古マンション 神奈川県藤沢市善行坂2丁目の中古マンションの完成予想図(外観)

【CENTURY21富士ハウジング取扱物件】高層階で眺望良好!南西向きで日当たり・通風も良好です。閑静な住宅地の高台に位置し、上質な生活を実現します。

価格 3,380万円 
所在地 神奈川県藤沢市善行坂2丁目
交通 小田急江ノ島線 善行駅 徒歩14分
間取り 3LDK
専有面積 60.1u 所在階 11階/12階建
築年月 1996年3月 建物構造 マンション/SRC造
33枚  
中古マンション 神奈川県藤沢市善行坂2丁目の中古マンションの完成予想図(外観)

小田急江ノ島線「善行」駅徒歩14分 令和7年2月リフォーム完了予定 開放感のある眺望が広がり、遠くには海も望めます

価格 3,380万円 
所在地 神奈川県藤沢市善行坂2丁目
交通 小田急江ノ島線 善行駅 徒歩14分
間取り 3LDK
専有面積 60.1u 所在階 11階/12階建
築年月 1996年3月 建物構造 マンション/SRC造
19枚  
中古マンション 神奈川県藤沢市善行坂2丁目の中古マンションの完成予想図(外観)

小田急江ノ島線「善行」駅より徒歩15分 南西向きで二面バルコニー、陽当り通風ともに良好です。独立性を高めるポーチ付き、2026.2フルリフォーム済のお部屋です。

価格 3,380万円 
所在地 神奈川県藤沢市善行坂2丁目
交通 小田急江ノ島線 善行駅 徒歩15分
間取り 3LDK
専有面積 83.89u 所在階 4階/8階建
築年月 2001年1月 建物構造 マンション/RC造
15枚  
中古マンション 神奈川県藤沢市善行坂2丁目の中古マンションの完成予想図(外観)

【CENTURY21富士ハウジング湘南モールフィル店取扱物件】駅から徒歩15分、2面バルコニーにつき、日当たり・通風良好なお部屋です。

価格 3,380万円 
所在地 神奈川県藤沢市善行坂2丁目
交通 小田急江ノ島線 善行駅 徒歩15分
間取り 3LDK
専有面積 83.89u 所在階 4階/8階建
築年月 2001年1月 建物構造 マンション/RC造
25枚  
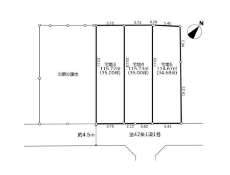
新築一戸建て 神奈川県藤沢市善行坂1丁目の新築一戸建ての間取り図

2026.3完成予定です。モデルハウスにご案内ができます。

価格 3,780万円 
所在地 神奈川県藤沢市善行坂1丁目
交通 小田急江ノ島線 善行駅 徒歩16分
間取り 3LDK
建物面積 70.46u 土地面積 88.92u(26.9坪)
築年月 2026年4月 建物構造 一戸建て/木造
12枚  

会員限定 【会員様限定で公開中!】

WEB会員限定物件
新築一戸建て 神奈川県藤沢市善行坂1丁目の新築一戸建ての間取り図

小田急江ノ島線「善行」駅徒歩16分 2026.4完成予定 家族の会話が自然と生まれるリビング階段 大越小学校がすぐ近く、お子様の通学も安心

価格 3,780万円 
所在地 神奈川県藤沢市善行坂1丁目
交通 小田急江ノ島線 善行駅 徒歩16分
間取り 3LDK
建物面積 70.46u 土地面積 88.92u(26.9坪)
築年月 2026年3月 建物構造 一戸建て/木造
12枚  
表示件数 並び順


会員の無料登録はこちら

物件をさがす

  • 売り土地特集
  • 新着物件特集
  • 値下がり物件
  • 町名から探す
  • 学区から探す
  • 条件から探す
  • マンションカタログ
Zoomでオンライン来店 詳しくはこちら

売却について

売却イメージ画像

不動産のプロが誠実にご対応します。
不動産の売却に関するお悩みは弊社にご相談ください!

中古マンション×リフォーム

リフォームイメージ画像

中古物件購入のご提案だけでなく、ワンストップでリフォームのご相談・打ち合わせが可能です!

店舗紹介

藤沢店 売買営業部

藤沢店外観写真

0120-158-380

〒251-0052
神奈川県藤沢市藤沢484-24
10:00〜19:00
定休日:毎週火曜日、水曜日

店舗紹介

湘南モールフィル店

湘南モールフィル店外観写真

0120-989-655

〒251-0042
神奈川県藤沢市辻堂新町4丁目1-1
湘南モールフィル1階
10:00〜19:00
定休日:毎週火曜日、水曜日

店舗紹介

辻堂北口店

辻堂北口店外観写真

0120-060-021

〒251-0041
神奈川県藤沢市辻堂神台
1-3-39オザワビル1階
10:00〜19:00
定休日:毎週火曜日、水曜日

店舗紹介

茅ヶ崎店

茅ヶ崎店外観写真

0467-73-9085

〒253-0056
神奈川県茅ヶ崎市共恵1-2-18
ともえ桜ビル1階
10:00〜19:00
定休日:毎週火曜日、水曜日

店舗紹介

お客様へ

藤沢市 不動産情報はセンチュリー21富士ハウジングにお任せください!センチュリー21富士ハウジングでは不動産情報を豊富にご用意しております。藤沢市  新築戸建て・土地・マンションをお探しの方はぜひセンチュリー21富士ハウジングまでお問い合わせください。信頼あるスタッフがあなたのマイホーム探しのお手伝いをさせて頂きます。