鎌倉市二階堂 条件無売地NO3 全4区画 神奈川県鎌倉市二階堂|3,990万円の土地|センチュリー21富士ハウジング
| 価格 | 3,990万円 ![]() |
||||
|---|---|---|---|---|---|
| 所在地 | 神奈川県鎌倉市二階堂
この地域周辺の物件を見る |
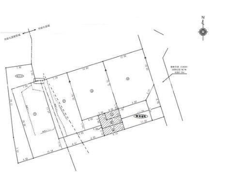
土地面積 | 157m² (47.49坪) | 坪単価 | 84.01万円 /坪 |
| 交通 |
JR横須賀線 鎌倉 バス8分 大塔宮 停歩13分
江ノ島電鉄 鎌倉 バス8分 大塔宮 停歩13分 |
建ぺい率 | 40 % | 容積率 | 80 % |
| 特徴 |
|
|---|---|
| セールスコメント | 緑化部分108平米のうち、持分1/4有。その他協定地有。 |
| 建築条件 | なし | 土地権利 | 所有権 |
|---|---|---|---|
| 現況/引渡し | 更地/相談 | 接道状況 | 接道: 東南 道路幅: 6m |
| 私道負担面積 | あり 79m² | セットバック | - |
| 地勢 | 地目 | 宅地 | |
| 用途地域 | 第一種低層住居専用地域 | 都市計画 | 市街化区域 |
| 法令上の制限 | 文化財保護法;古都保存法;景観法 | 国土法届出 | 不要 |
| 取引態様 | 仲介 | ||
| 情報更新日 | 2026年05月11日 | 次回更新日 | 2026年05月25日 |
| 小学校区 | 鎌倉市立第二小学校 (神奈川県鎌倉市) 神奈川県鎌倉市立第二小学校学区の他の物件を見る |
中学校区 | 第二中学校 (神奈川県鎌倉市) 神奈川県鎌倉市立第二中学校学区の他の物件を見る |
|---|
| 価格 | 万円 | ||
|---|---|---|---|
| 年利率 | % |
||
| ボーナス払い | 返済年数 | ||
| 頭金 | 直接入力する | 万円 | |

毎月のご返済額 |
ボーナス(×年2回) |
物件価格3,990万円 |
![]() |
![]() |
鎌倉市二階堂
3990万円〜4790万円 |
【CENTURY21富士ハウジング取扱物件】鎌倉の豊かな緑に囲まれた閑静な住宅街。全4区画。詳細についてはお気軽にお問い合わせください。