茅ヶ崎市松尾 条件無売地 全1区画 神奈川県茅ヶ崎市松尾|2,980万円の土地|センチュリー21富士ハウジング
| 価格 | 2,980万円 ![]() |
||||
|---|---|---|---|---|---|
| 所在地 | 神奈川県茅ヶ崎市松尾
この地域周辺の物件を見る |
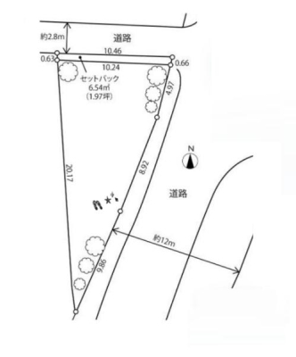
土地面積 | 132.25m² (40坪) | 坪単価 | 74.49万円 /坪 |
| 交通 |
JR東海道本線 茅ケ崎 バス6分 団地北口 停歩4分
JR相模線 茅ケ崎 バス6分 団地北口 停歩4分 小田急江ノ島線 鵠沼海岸 徒歩98分 |
建ぺい率 | 60 % | 容積率 | 200 % |
| 特徴 |
|
|---|---|
| セールスコメント | 当店は湘南モールフィル1階にございます。お気軽にお立ち寄り下さいませ。 |
| 建築条件 | なし | 土地権利 | 所有権 |
|---|---|---|---|
| 現況/引渡し | 古屋あり/相談 | 接道状況 | 接道: 東 私道 道路幅: 4.2m |
| 私道負担面積 | あり 94m² | セットバック | - |
| 地勢 | 平坦 | 地目 | 宅地 |
| 用途地域 | 第一種中高層住居専用地域 | 都市計画 | 市街化区域 |
| 法令上の制限 | 準防火地域 | 国土法届出 | 不要 |
| 取引態様 | 一般媒介 | ||
| 情報更新日 | 2026年04月12日 | 次回更新日 | 2026年04月26日 |
| 小学校区 | 茅ヶ崎市立柳島小学校 (神奈川県茅ヶ崎市) 神奈川県茅ヶ崎市立柳島小学校学区の他の物件を見る |
中学校区 | 中島中学校 (神奈川県茅ヶ崎市) 神奈川県茅ヶ崎市立中島中学校学区の他の物件を見る |
|---|
| 価格 | 万円 | ||
|---|---|---|---|
| 年利率 | % |
||
| ボーナス払い | 返済年数 | ||
| 頭金 | 直接入力する | 万円 | |

毎月のご返済額 |
ボーナス(×年2回) |
物件価格2,980万円 |
![]() |
![]() |
茅ヶ崎市松尾
2980万円 |
【CENTURY21富士ハウジング湘南モールフィル店取扱物件】
◇南側が園庭、西側が駐車場のため、陽当たり良好で開放的!
◇お好きなハウスメーカーで建築可能です!